Baugesuch Nr. 1121/2025

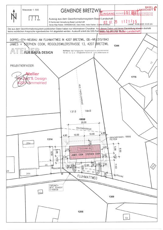
Bauherrschaft: Cook James und Stephen, Reigoldswilerstrasse 13, 4207 Bretzwil. Projekt: Doppeleinfamilienhaus, Parzelle 1315, Fluhmattweg 28/30. Projektverantwortliche Person: Atelier für Bau & Design, Hauptstrasse 74, 4204 Himmelried.

Planauflage: 6. November 2025 bis 17. November 2025

Baugesuch Nr. 1132/2023
Baugesuch Nr. 1132/2023